武汉康测科技有限公司

9

手机商铺

qrcode
商家活跃:
产品热度:
  • NaN
  • 0.5
  • 0.5
  • 1.5
  • 0.5

武汉康测科技有限公司

入驻年限:9

  • 联系人:

    张经理

  • 所在地区:

    湖北 武汉市 洪山区

  • 业务范围:

    技术服务、试剂

  • 经营模式:

    生产厂商

在线沟通

公司新闻/正文

康测科技UID RNA-seq助力华中科技大学吴孔明教授团队发表Journal for ImmunoTherapy of Cancer

1761 人阅读发布时间:2023-02-03 17:28

康测科技UID RNA-seq助力华中科技大学吴孔明教授团队发表Journal for ImmunoTherapy of Cancer

新闻图片1
 
引言
11月的一篇文献解读(转录因子和组蛋白修饰酶手牵手,癌症转移快快有!)介绍FOXQ1-RbBP5结合可以提升共同靶标基因启动子区H3K4me3修饰水平和激活EMT相关基因转录导致TNBC亚型,本次带来的是康测科技客户的文章,刚好也是研究乳腺癌,只不过侧重点不在机制,而在治疗方面,该客户制作了一种双特异性抗体BiTP同时靶向PD-L1TGF-β通过抗体性能评估以及动物治疗结果的测试,发现BiTPTNBC动物模型中的抗肿瘤活性及其潜在机制。
研究背景
乳腺癌是女性健康的主要威胁,2020年造成全球近68500人死亡。其中三阴性(TNBC是最具侵袭性的乳腺癌亚型,缺乏有效治疗药物的特定靶点。尽管免疫检查点疗法,即抗PD-1/PD-L1疗法彻底改变了TNBC的治疗模式,但抗PD-1/PD-L1疗法的低反应率尚未得到很好的解决。PD-1/PD-L1的治疗效果受到多种免疫抑制因素的阻碍,包括TGF-β。对于正常组织和早期乳腺癌,TGF-β通过诱导细胞周期停滞和凋亡来充当肿瘤抑制因子然而,对于晚期乳腺癌,TGF-β通过增强转移,放疗或化疗耐药性以及肿瘤微环境(TME)重编程来促进肿瘤进展。本研究构建了靶向TGF-βPD-L1的双特异性抗体(称为BiTP),探讨了BiTP在TNBC中的抗肿瘤作用。结果标明BiTP在TNBC模型中表现出体外生物活性和有效的抗肿瘤活性是进一步进行临床研究的有希望的候选药物
研究结果
1.BiTP的结构和结合能力
 
作为IgG1/IgG2杂交抗体,BiTP的Fc片段包含IgG2 衍生的 CH2 结构域和IgG1 衍生的 CH3 结构域,通过D270A替换以降低与 FcγR 的结合亲和力。并且没有观察到BiTP有显著抗体依赖性细胞介导的细胞毒性。VLa,CLVHaCH1来源于抗人PD-L1的相应结构域。 VHb和VLb结构域来源于抗TGF-β的相应结构域(如下图A)。还原性SDS-PAGE显示BiTP由短链和长链组成(如下图B)。CE-SDS表明纯度超过97%(如下图c)此外,BiTP的分子量约为201.5KDa(短链:37.3KDa;长链:63.4KDa)。
新闻图片2新闻图片3
TGF-β抗体相比,BiTP预涂平板TGF-β结合,其结合亲和力相似或稍弱如下图D-F)。并且BiTP与H358细胞(高水平表达PD-L1)结合,具有与PD-L1抗体相似结合亲和力(如下图G)。双抗原夹心ELISA显示TGF-β1捕获的BiTP同时与PD-L1结合(图H)。
新闻图片4新闻图片5

2.血浆中的药动力学研究
 
作者研究发现BiTP在CD-1小鼠中表现出非线性药物代谢动力学。在9mg/kg的剂量下,BiTP的半衰期(t1/2)为34小时(如下图E)。在单剂量BiTP后μMT小鼠中,血浆中的TGF-β1和TGF-β22至120小时几乎完全耗尽(如下图F-G)。然而BiTP处理后TGF-β3的浓度在所有时间点都保持在较低水平(如下图H)。
新闻图片6

3.BiTP抗TGF-β PD-L1的生物活性
 
TGF-β的生物学活性可以通过TF-1增殖试验来确定结果显示BiTP可以通过剂量依赖的方式逆转TGF-β引起的TF-1增殖损伤如下A-C此外,BiTP 有效地阻断了典型的 TGF-β-Smad信号传导(如下D)。
新闻图片7
BiTP的抗PD-L1部分的生物活性作者通过含有Jurkat-1-PD-1-NFAT-LucCHO-K1-PD-L1-CD3L细胞的荧光素酶报告系统进行评估(如下图E)。发现BiTP抵消了PD-1/PD-L1通路介导的对NFAT信号传导的抑制(如下图F)。在超级抗原刺激测定中,BiTP增强了IL-2的分泌(如下图G)。T细胞活性的增强与BiTP的剂量有关高剂量的BiTP表现出更强的促进T细胞活化的能力。
新闻图片8

4.BiTP在小鼠模型中的抗肿瘤活性
 
作者EMT 6-hPDL1和4T1-hPDL1模型中评估了BiTP的抗肿瘤作用。肿瘤细胞接种一周后,将小鼠分组并用6种剂量的抗体进行治疗。在两种TNBC模型中,BiTP表现出优于亲本抗体的抗肿瘤活性。与其他三组相比,BiTP显著减缓了肿瘤生长并延长了荷瘤小鼠的存活期(如下图A-H)。
新闻图片9
作者并未观察到接受抗体治疗的小鼠有明显的毒性和体重减轻现象,这表明BiTP的安全性和耐受性是可接受的(如下图I-J)。再激发试验显示,所有BiTP治愈的小鼠都排斥了再次接种的肿瘤,表明BiTP建立了有效的抗肿瘤免疫记忆(如下图K-M)。
新闻图片10

5.BiTP抑制胶原蛋白生成,促进T细胞浸润

此前研究表明,TGF-β阻断通过限制CAF衍生的胶原蛋白来增强T细胞浸润。鉴于CAF来源的胶原蛋白会破坏T细胞渗透,作者首先探讨了BiTP对体外CAF活性的影响。由于α-SMACAF的标志物对于原代成纤维细胞和HFL1,TGF-β1α-SMA表达和I型胶原蛋白的生成(如下图A)。同时,BiTP处理可拮抗TGF-β1引起的α-SMAI型胶原蛋白表达上调
新闻图片11
接下来,作者研究了4T1-hPD-L1肿瘤中的CAF活性和CD8+ T细胞浸润。α-SMA抗体染色显示BiTP和TGF-β抗体可以下调α-SMA 表达水平,表明 CAF 活性受到限制(如下图 B)。Picrosirius染色显示,BiTPTGF-β抗体处理后胶原蛋白生成显着减少(如下图C)。
新闻图片12
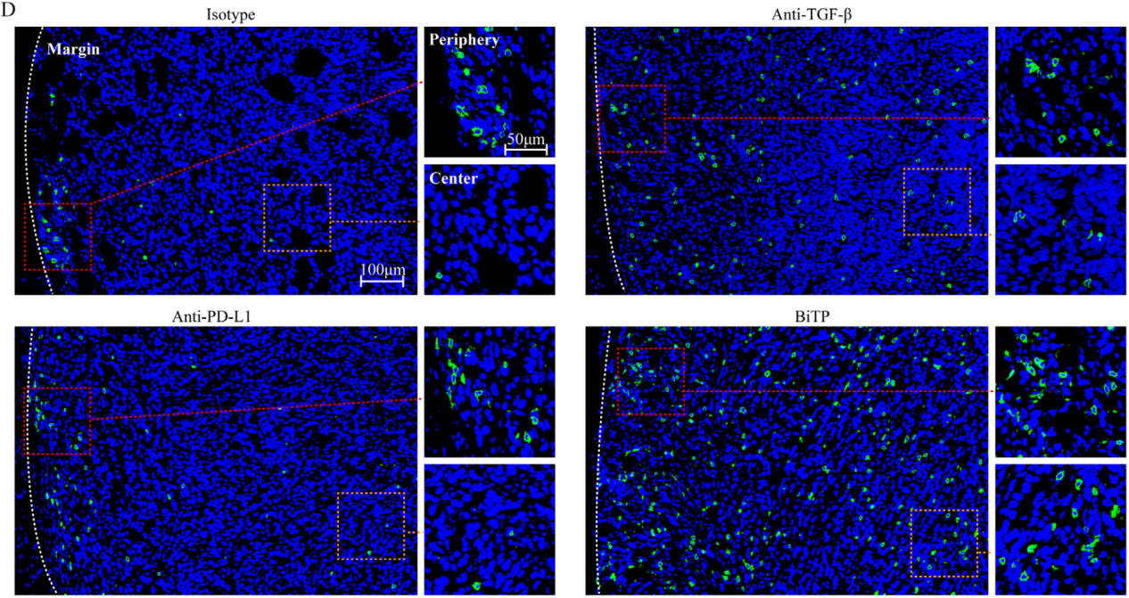
随后使用CD8抗体染色以研究免疫浸润状态结果显示对于用hIgG或抗PD-L1治疗的小鼠,大多数CD8像素位于肿瘤边缘。相比之下,对于使用TGF-β抗体或BiTP治疗的小鼠,更多的CD8像素位于肿瘤中心位置如下图D)。
新闻图片13
定量分析表明,BiTP扩大了T细胞群并增加了其浸润深度。总的来说,BiTP抑制了CAF活性,减少了胶原蛋白沉积,并增强了T细胞浸润(如下图E-H)。
新闻图片14
6.流式细胞术显示BiTP治疗后TME的改变
 
作者收集了4T1-hPDL1组织,通过流式细胞术检测免疫细胞群体的变化(如下图A-C)。结果显示与其他三组相比,BiTP显著增加和活化了多种T细胞NK细胞(如下图D-Q)。除TILBiTP还扩大了总DC细胞和成熟DC细胞量如下R-T)。
新闻图片15

7.Bulk RNA-seq解析肿瘤微环境(TME)状态
 
为了探究BiTP增强抗肿瘤活性的机制,作者在康测科技使用4T1-hPDL1样本进行UID RNA-seq测序(更准确的RNA-seq定量结果),结果显示不同比较组分别鉴定了2144(BiTP vs hIgG)、2211BiTP vs TGF-β抗体)和709(BiTP vs PD-L1抗体基因(如下图 A)。
新闻图片16
将三个比较组差异基因取交集,得到总共598个交集基因(其中566个上调,32个下调)。KEGG富集分析显示三组交集差异基因与免疫激活高度相关(如下图a-d)。
新闻图片17
正如预期的那样,一些免疫杀伤相关基因如IfngTnfGzmaGzmb的表达水平在BiTP处理的样本中显著上调。通过6个免疫特征综合评价了BiTP对TME的影响结果显示在BiTP处理的样品中,所有免疫特征的评分最高(如下图C-H)。此外,PCA分析显示使用hIgG,TGF-β抗体和PD-L1抗体治疗的肿瘤具有相似的表达模式,而使用BiTP治疗的肿瘤的基因表达模式完全不同(如下图e)。这些结果说明TGF-β抗体和PD-L1抗体治疗的免疫刺激作用较弱,被抑制的抗肿瘤免疫力无法完全恢复因此BiTP可以系统增强多种免疫成分并增强抗肿瘤免疫力。
新闻图片18新闻图片19

8.BiTP可以逆转EMT过程
 
最后,作者评估了BiTP治疗后4T1-hPDL1模型中的EMT状态结果显示BiTP在体内可有效逆转EMT过程如下图a,b
新闻图片20
 
总结
1.设计和构建了靶向TGF-β和PD-L1双特异性抗体BiTP
2.评估BiTP的抗体结合能力、药物代谢动力学参数和生物活性;
3.通过EMT小鼠模型初步确认BiTP具有抗肿瘤活性;
4.免疫染色确定BiTP可以减少胶原蛋白形成并促进T细胞浸润;
5.流式结果显示BiTP处理后免疫细胞群体数量明显增多,暗示肿瘤微环境已发生改变;
6.通过UID RNA-seq确认肿瘤微环境中免疫细胞相关基因表达水平均上调,说明微环境已变成抗肿瘤状态,最后确认EMT过程也可以被BiTP所抑制。

Yi M, Wu Y, Niu M, et al. Anti-TGF-β/PD-L1 bispecific antibody promotes T cell infiltration and exhibits enhanced antitumor activity in triple-negative breast cancer.Journal for ImmunoTherapy of Cancer 2022;10:e005543.
DOI:10.1136/jitc-2022-005543


 

上一篇

ATAC-seq数据不知道怎么用?这篇文章带你抓重点!

下一篇

An apple a day,keep doctors away. 但是苹果自己生病了要怎么办呢?

更多资讯

我的询价